Официальное опубликование правовых актов
ОФИЦИАЛЬНОЕ ОПУБЛИКОВАНИЕ
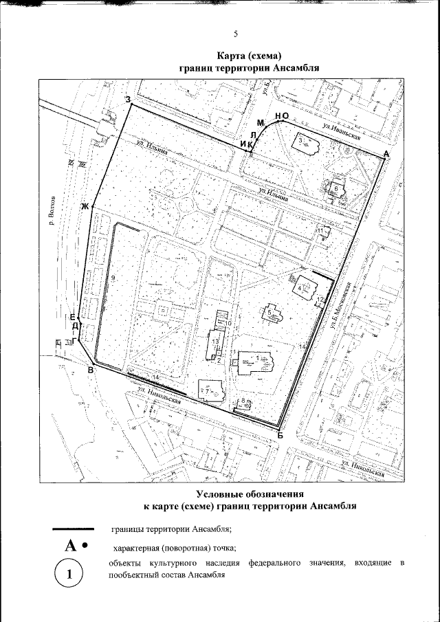
Приказ Министерства культуры Российской Федерации от 22.11.2016 № 2556
"Об утверждении границ и режима использования территории объекта культурного наследия федерального значения "Ансамбль Ярославова дворища и древнего Торга", ХII - ХVII вв., расположенного по адресу: Новгородская область, г. Великий Новгород"
(Зарегистрирован 30.11.2016 № 44494)
Номер опубликования: 0001201612010046
Дата опубликования: 01.12.2016
Страница №5 из 11:
Увеличить