Приказ Управления по государственной охране объектов культурного наследия Республики Башкортостан от 04.02.2026 № 53
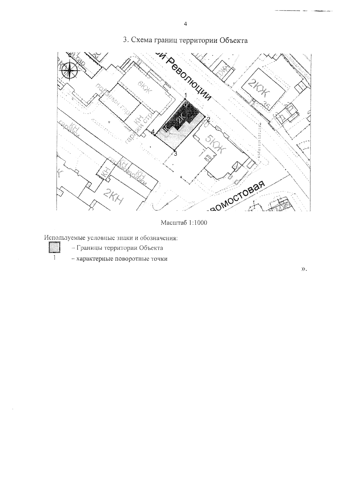
"О внесении изменений в приказ Управления по государственной охране объектов культурного наследия Республики Башкортостан от 04 июля 2019 года № 196 "О включении выявленного объекта культурного наследия "Дом Иванова П.А. с кирпичными воротами", расположенного по адресу: Республика Башкортостан, г. Уфа, ул. Октябрьской Революции, д. 38, в Единый государственный реестр объектов культурного наследия (памятников истории и культуры) народов Российской Федерации в качестве объекта культурного наследия регионального значения, утверждении его предмета охраны, границ и режима использования территории"
(Зарегистрирован 16.02.2026 № 25890)
"О внесении изменений в приказ Управления по государственной охране объектов культурного наследия Республики Башкортостан от 04 июля 2019 года № 196 "О включении выявленного объекта культурного наследия "Дом Иванова П.А. с кирпичными воротами", расположенного по адресу: Республика Башкортостан, г. Уфа, ул. Октябрьской Революции, д. 38, в Единый государственный реестр объектов культурного наследия (памятников истории и культуры) народов Российской Федерации в качестве объекта культурного наследия регионального значения, утверждении его предмета охраны, границ и режима использования территории"
(Зарегистрирован 16.02.2026 № 25890)
Номер опубликования: 0201202602200003
Дата опубликования:
20.02.2026
