Приказ Агентства по охране культурного наследия Республики Дагестан от 13.08.2024 № 104/24-ОД
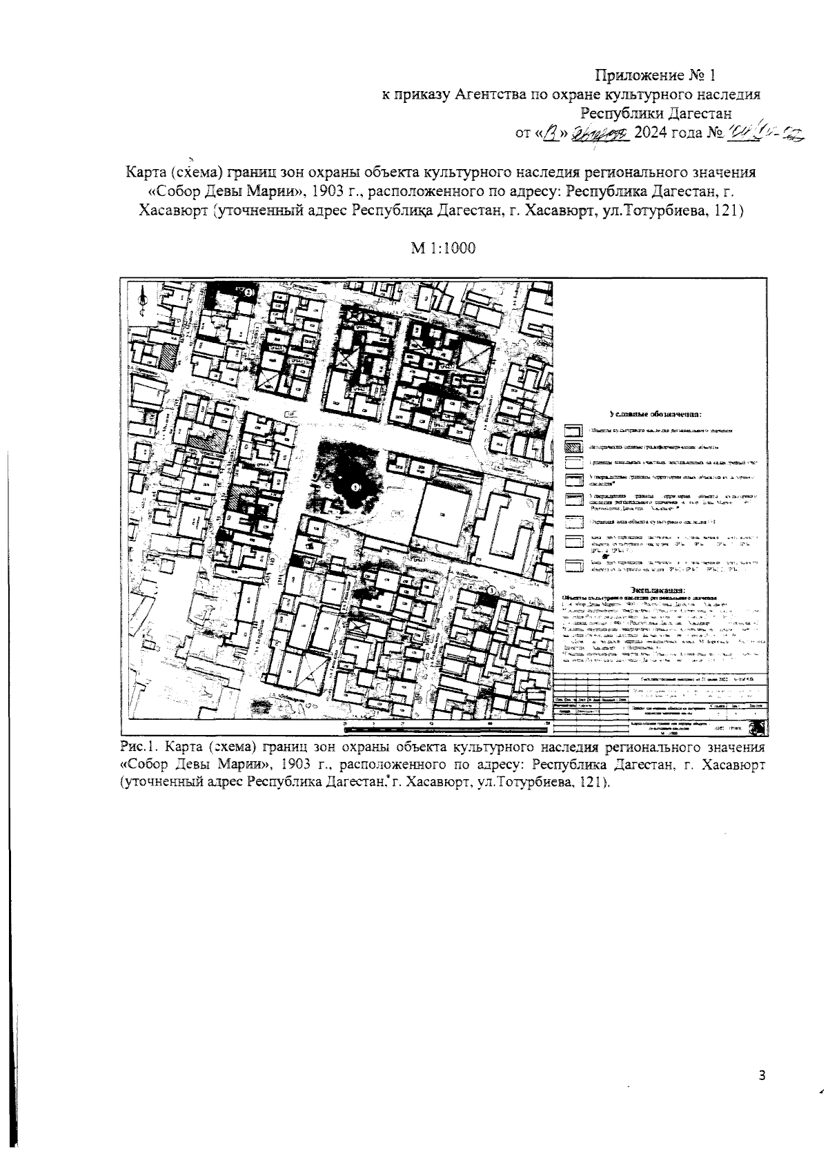
"Об утверждении границ зон охраны объекта культурного наследия регионального значения "Собор Девы Марии", 1903 г. (Республика Дагестан, г. Хасавюрт) (уточненный адрес Республика Дагестан, г. Хасавюрт, ул. Тотурбиева, 121) и требований к градостроительным регламентам в границах данных зон"
(Зарегистрирован 27.08.2024 № 7214)
"Об утверждении границ зон охраны объекта культурного наследия регионального значения "Собор Девы Марии", 1903 г. (Республика Дагестан, г. Хасавюрт) (уточненный адрес Республика Дагестан, г. Хасавюрт, ул. Тотурбиева, 121) и требований к градостроительным регламентам в границах данных зон"
(Зарегистрирован 27.08.2024 № 7214)
Номер опубликования: 0501202408290002
Дата опубликования:
29.08.2024
