Официальное опубликование правовых актов
ОФИЦИАЛЬНОЕ ОПУБЛИКОВАНИЕ
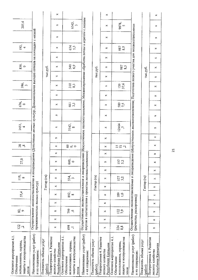
Постановление Правительства Республики Калмыкия от 29.03.2022 № 98
"О внесении изменений в Государственную программу Республики Калмыкия "Охрана окружающей среды", утвержденную постановлением Правительства Республики Калмыкия от 20 ноября 2018 г. № 353"
Номер опубликования: 0800202204060001
Дата опубликования: 06.04.2022
Страница №21 из 58:
Увеличить