Официальное опубликование правовых актов
ОФИЦИАЛЬНОЕ ОПУБЛИКОВАНИЕ
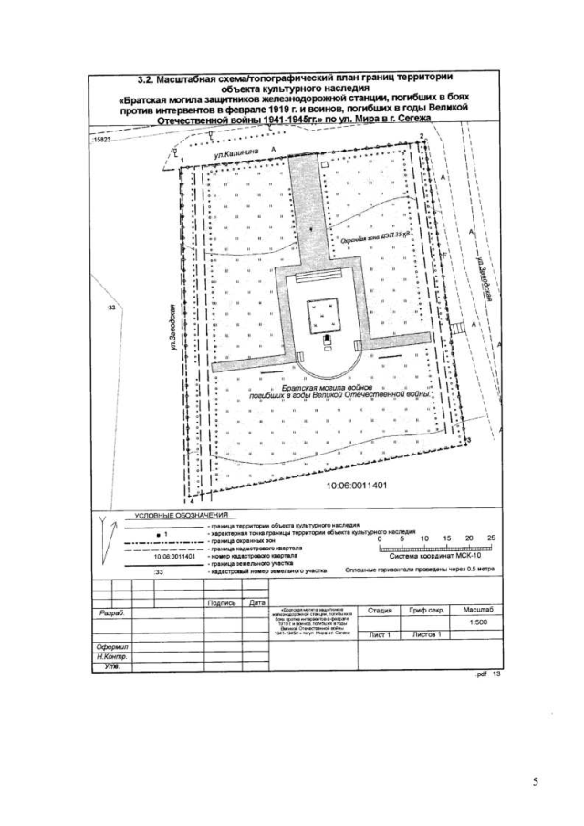
Приказ Управления по охране объектов культурного наследия Республики Карелия от 22.12.2017 № 114
"Об установлении границ территории объекта культурного наследия регионального значения "Братская могила воинов погибших в годы Великой Отечественной войны 1941-1945 гг.", расположенного по адресу: г.Сегежа, ул.Мира (уточненный адрес - г.Сегежа, ул.Калинина), Сегежское городское поселение, Сегежский муниципальный район, Республика Карелия"
Номер опубликования: 1001201712260009
Дата опубликования: 26.12.2017
Страница №5 из 5:
Увеличить