Приказ Управления по охране объектов культурного наследия Республики Карелия от 08.05.2018 № 66
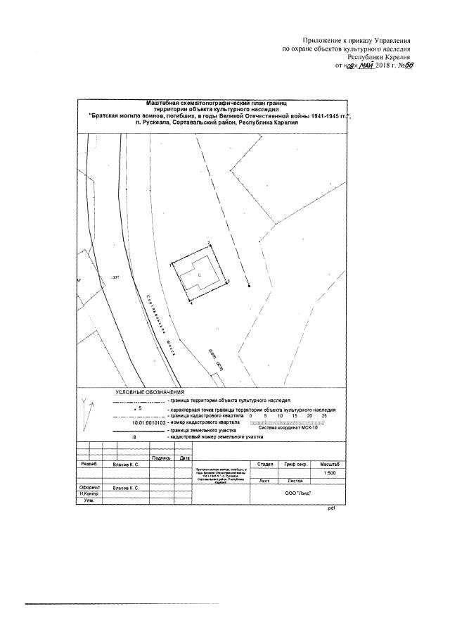
"О внесении изменений в приказ Управления по охране объектов культурного наследия Республики Карелия от 22 марта 2018 года № 42 "Об установлении границ территории объекта культурного наследия регионального значения "Братская могила воинов, погибших в годы Великой Отечественной войны 1941-1945гг.", расположенного по адресу: п. Рускеала, Сортавальский муниципальный район, Республика Карелия"
"О внесении изменений в приказ Управления по охране объектов культурного наследия Республики Карелия от 22 марта 2018 года № 42 "Об установлении границ территории объекта культурного наследия регионального значения "Братская могила воинов, погибших в годы Великой Отечественной войны 1941-1945гг.", расположенного по адресу: п. Рускеала, Сортавальский муниципальный район, Республика Карелия"
Номер опубликования: 1001201805110004
Дата опубликования:
11.05.2018
