Официальное опубликование правовых актов
ОФИЦИАЛЬНОЕ ОПУБЛИКОВАНИЕ
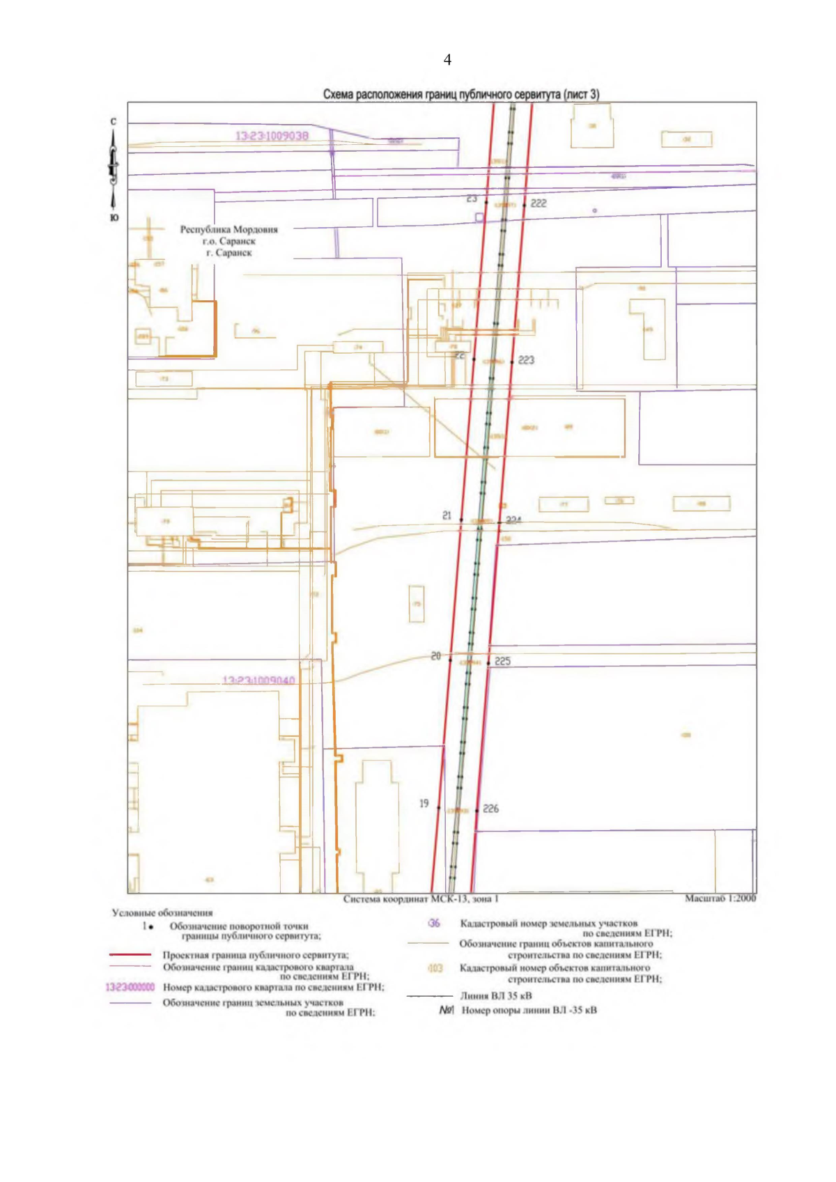
Постановление Правительства Республики Мордовия от 24.03.2026 № 287
"Об установлении публичного сервитута в целях эксплуатации объекта электросетевого хозяйства "Линейное сооружение ВЛ-35 кВ "ТЭЦ-2 – Лямбирь"
Номер опубликования: 1300202603240009
Дата опубликования: 24.03.2026
Страница №6 из 42:
Увеличить