Официальное опубликование правовых актов
ОФИЦИАЛЬНОЕ ОПУБЛИКОВАНИЕ
Постановление Правительства Удмуртской Республики от 02.08.2023 № 503
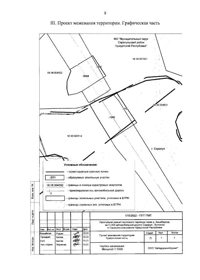
"Об утверждении документации по планировке территории (проекта планировки и проекта межевания территории) по объекту "Капитальный ремонт мостового перехода через р. Акшабариха, км 5+368 автомобильной дороги Сарапул – Воткинск в Сарапульском районе Удмуртской Республики"
Номер опубликования: 1800202308080007
Дата опубликования: 08.08.2023
Страница №9 из 13:
Увеличить