Официальное опубликование правовых актов
ОФИЦИАЛЬНОЕ ОПУБЛИКОВАНИЕ
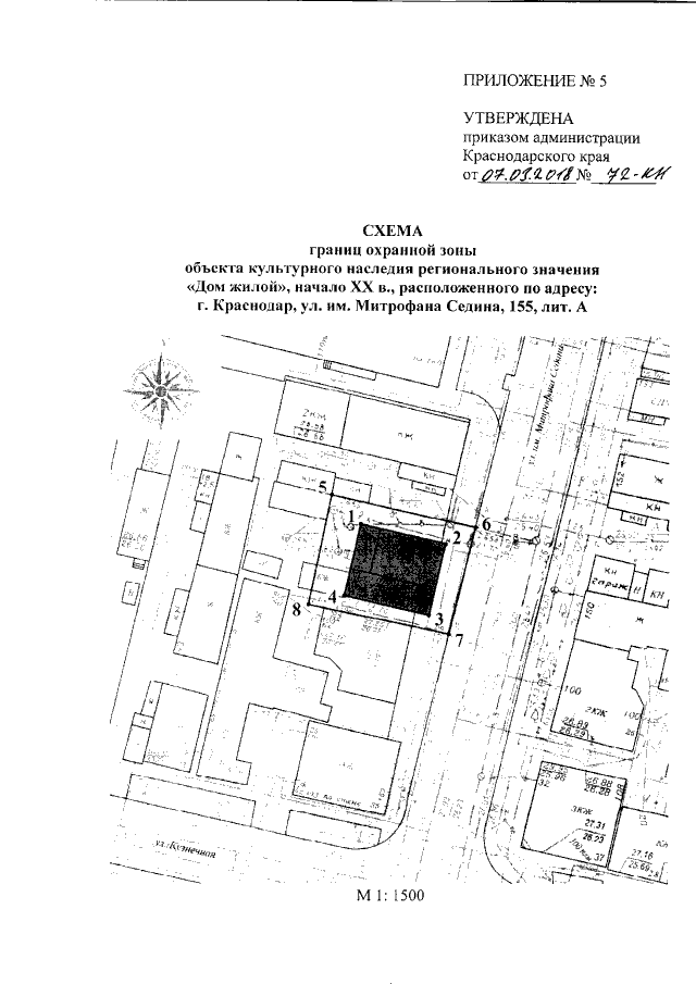
Приказ администрации Краснодарского края от 07.03.2018 № 72-КН
"Об утверждении предмета охраны, границ территории и зон охраны объекта культурного наследия регионального значения "Дом жилой", начало XX в., расположенного по адресу: Краснодарский край, г. Краснодар, ул. им. Митрофана Седина, 155, лит. А"
Номер опубликования: 2301201803140002
Дата опубликования: 14.03.2018
Страница №12 из 31:
Увеличить