Официальное опубликование правовых актов
ОФИЦИАЛЬНОЕ ОПУБЛИКОВАНИЕ
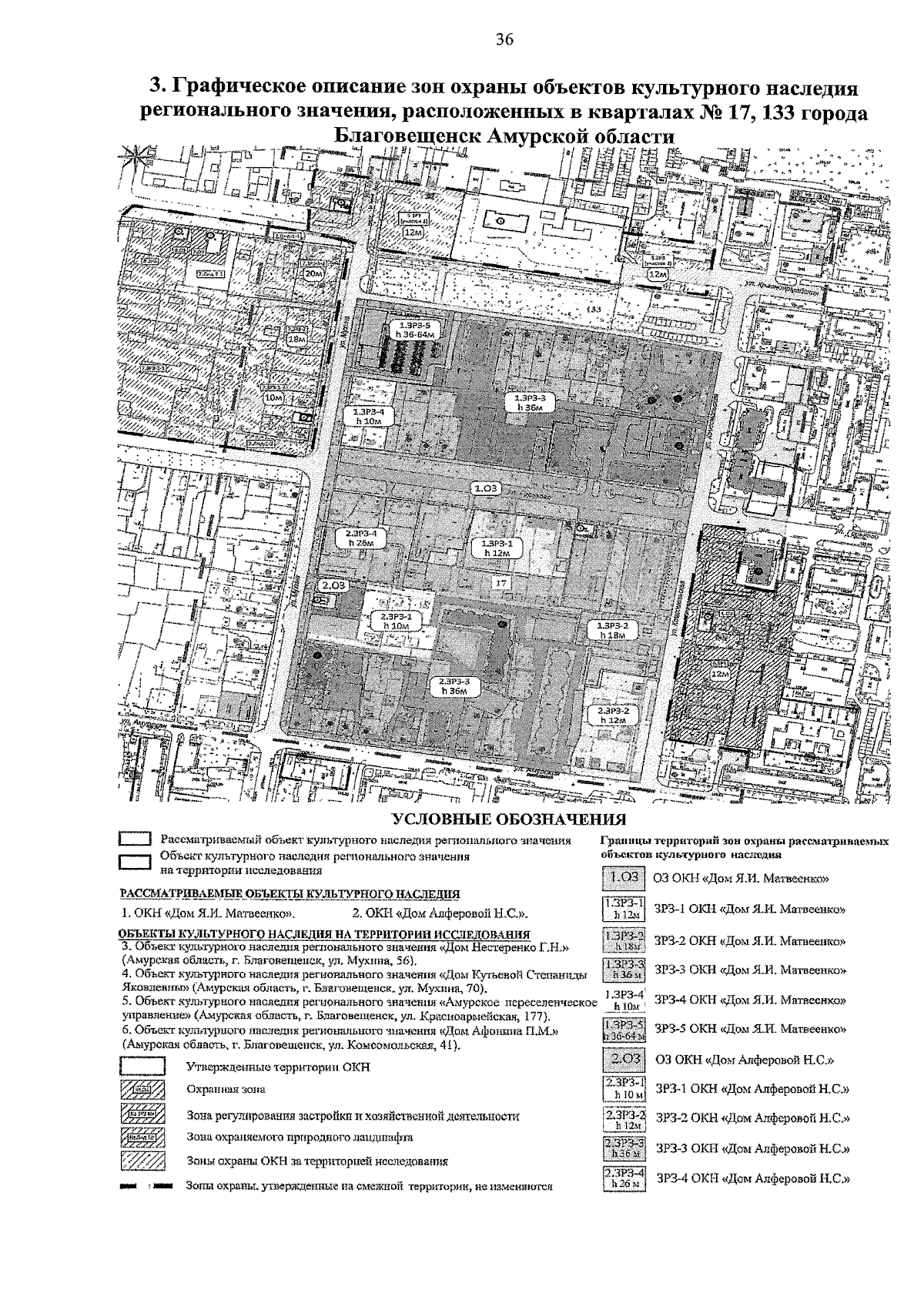
Постановление Правительства Амурской области от 10.10.2025 № 776
"Об установлении зон охраны объектов культурного наследия регионального значения, расположенных в кварталах № 17, 133 города Благовещенск Амурской области, и утверждении требований к градостроительным регламентам в границах территории данных зон"
Номер опубликования: 2800202510150004
Дата опубликования: 15.10.2025
Страница №37 из 37:
Увеличить