Постановление Министерства имущественных отношений Архангельской области от 12.03.2026 № 5-п
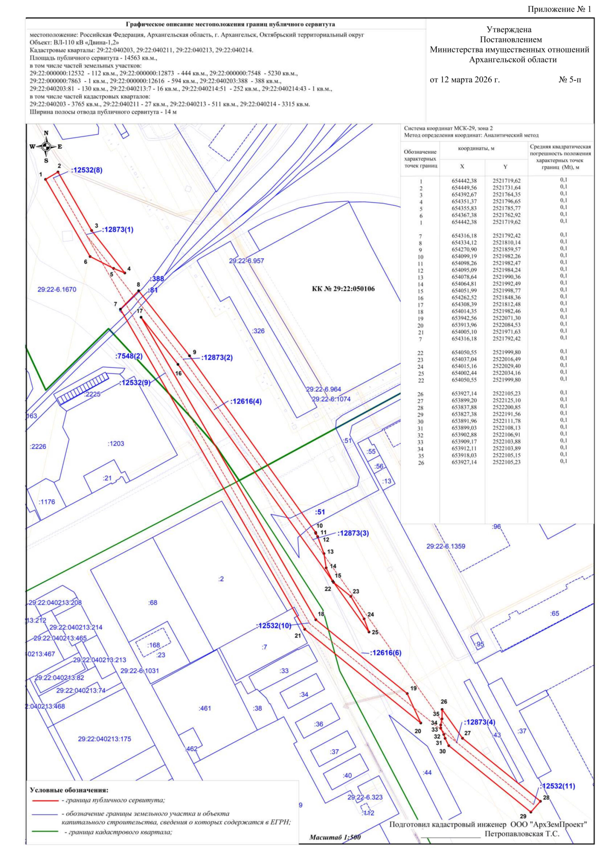
"Об установлении публичного сервитута для реконструкции объекта электросетевого хозяйства регионального значения, являющегося линейным объектом "Реконструкция ВЛ-110 кВ "Двина - 1,2" в г. Архангельске Архангельской области в объеме переустройства опор № 26 и № 27 (Общество с ограниченной ответственностью "Автодороги", ОЗУ-00057А/21 от 21.03.2022) (0,675 км)"
(Зарегистрирован 16.03.2026 № 29-2026-312/156)
"Об установлении публичного сервитута для реконструкции объекта электросетевого хозяйства регионального значения, являющегося линейным объектом "Реконструкция ВЛ-110 кВ "Двина - 1,2" в г. Архангельске Архангельской области в объеме переустройства опор № 26 и № 27 (Общество с ограниченной ответственностью "Автодороги", ОЗУ-00057А/21 от 21.03.2022) (0,675 км)"
(Зарегистрирован 16.03.2026 № 29-2026-312/156)
Номер опубликования: 2901202603160002
Дата опубликования:
16.03.2026
