Официальное опубликование правовых актов
ОФИЦИАЛЬНОЕ ОПУБЛИКОВАНИЕ
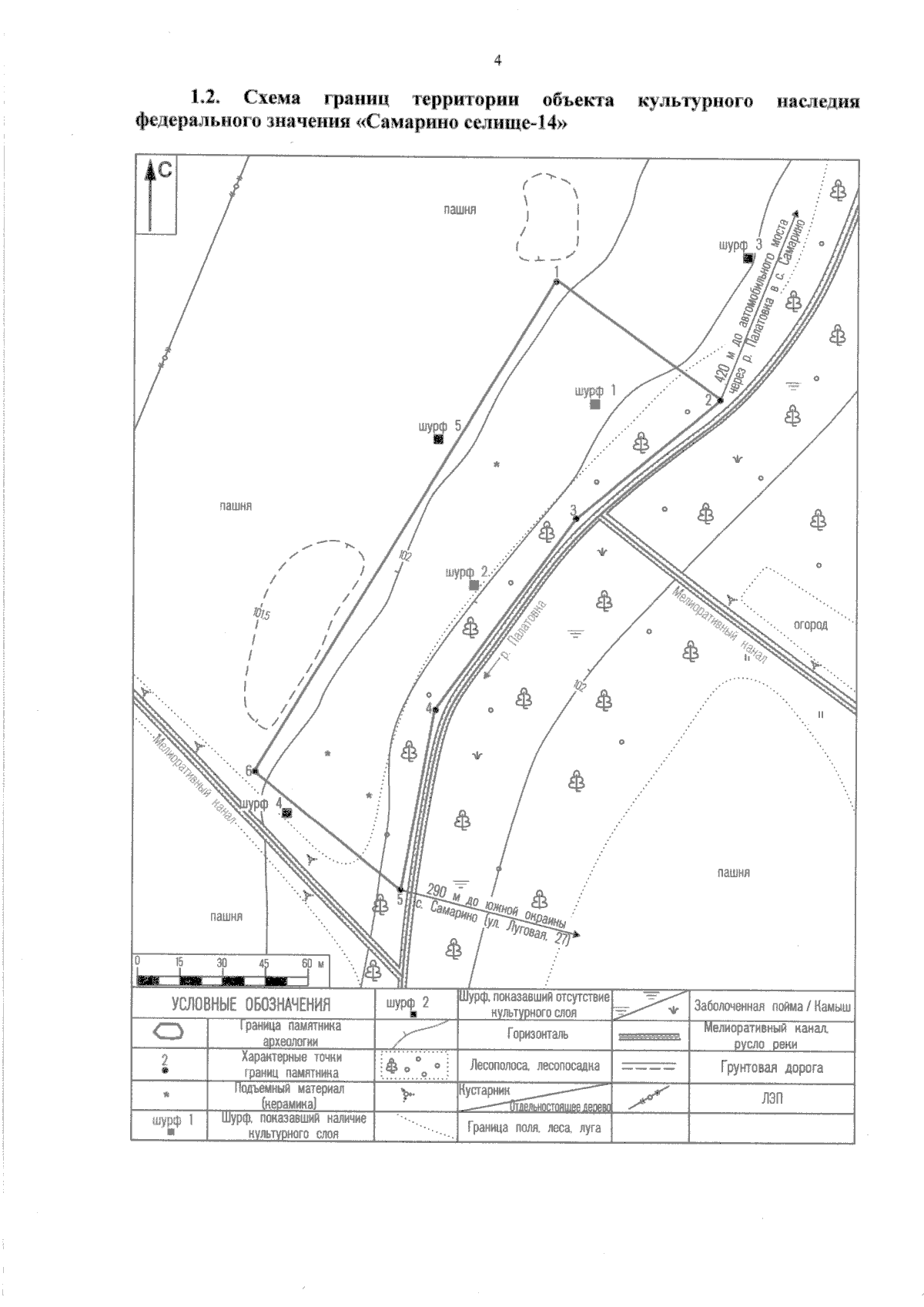
Приказ Управления государственной охраны объектов культурного наследия Белгородской области от 20.01.2026 № 30-24/08
"Об утверждении границ территории объекта культурного наследия федерального значения "Самарино селище-14"
(Зарегистрирован 22.01.2026 № 39)
Номер опубликования: 3101202601280005
Дата опубликования: 28.01.2026
Страница №4 из 5:
Увеличить