Приказ Управления государственной охраны объектов культурного наследия Белгородской области от 03.03.2026 № 30-24/50
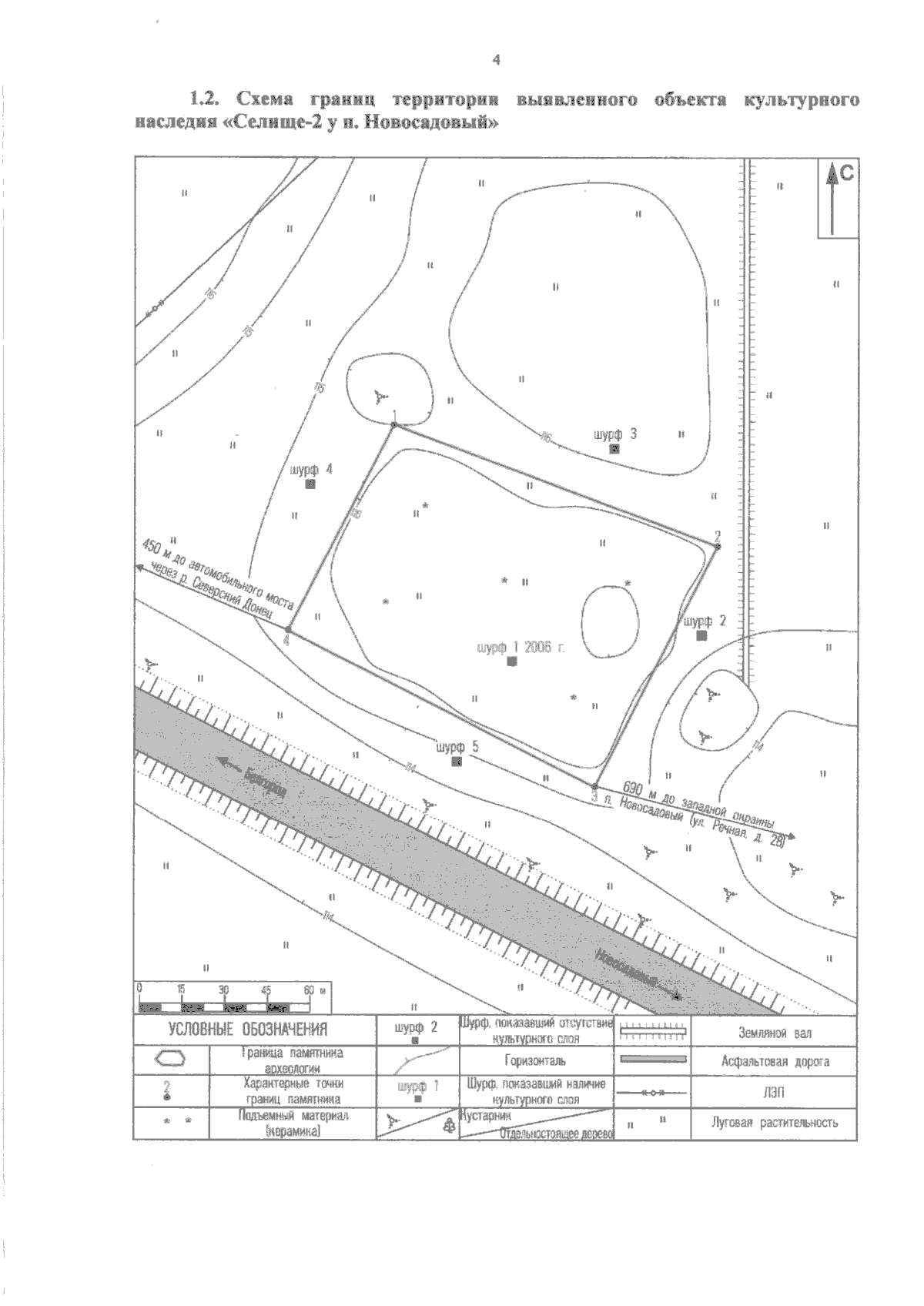
"Об утверждении границ территории выявленного объекта культурного наследия Белгородской области "Селище-2 у п. Новосадовый"
(Зарегистрирован 04.03.2026 № 114)
"Об утверждении границ территории выявленного объекта культурного наследия Белгородской области "Селище-2 у п. Новосадовый"
(Зарегистрирован 04.03.2026 № 114)
Номер опубликования: 3101202603130001
Дата опубликования:
13.03.2026
