Официальное опубликование правовых актов
ОФИЦИАЛЬНОЕ ОПУБЛИКОВАНИЕ
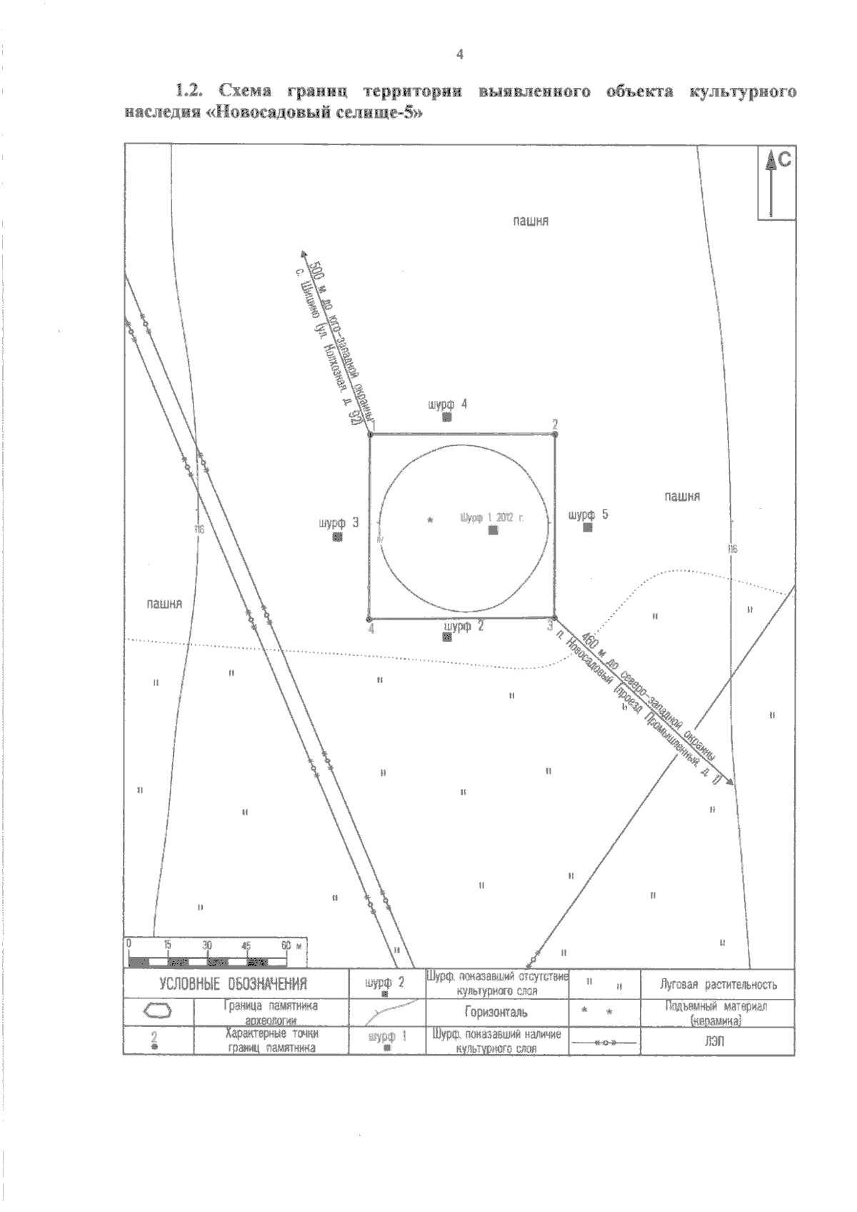
Приказ Управления государственной охраны объектов культурного наследия Белгородской области от 03.03.2026 № 30-24/49
"Об утверждении границ территории выявленного объекта культурного наследия Белгородской области "Новосадовый селище-5"
(Зарегистрирован 04.03.2026 № 113)
Номер опубликования: 3101202603130003
Дата опубликования: 13.03.2026
Страница №4 из 5:
Увеличить