Официальное опубликование правовых актов
ОФИЦИАЛЬНОЕ ОПУБЛИКОВАНИЕ
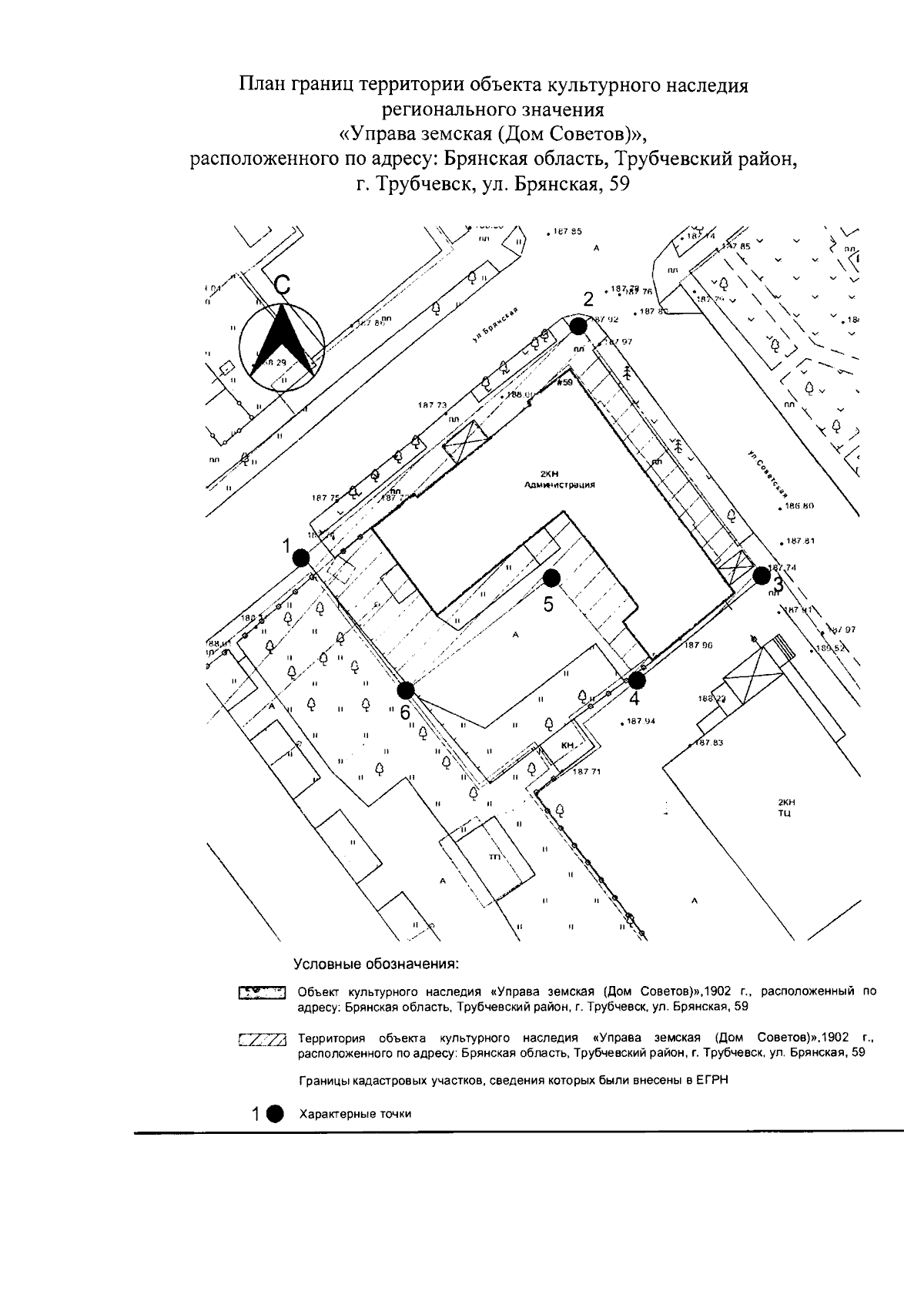
Приказ Управления по охране и сохранению историко-культурного наследия Брянской области от 21.12.2023 № 2-1/224
"Об утверждении границ территории, плана границ территории и режима использования территории объекта культурного наследия регионального значения "Управа земская (Дом Советов)", расположенного по адресу: Брянская область, Трубчевский район, г. Трубчевск, ул. Брянская, 59"
(Зарегистрирован 26.12.2023 № 20230123025)
Номер опубликования: 3201202312290008
Дата опубликования: 29.12.2023
Страница №4 из 6:
Увеличить