Официальное опубликование правовых актов
ОФИЦИАЛЬНОЕ ОПУБЛИКОВАНИЕ
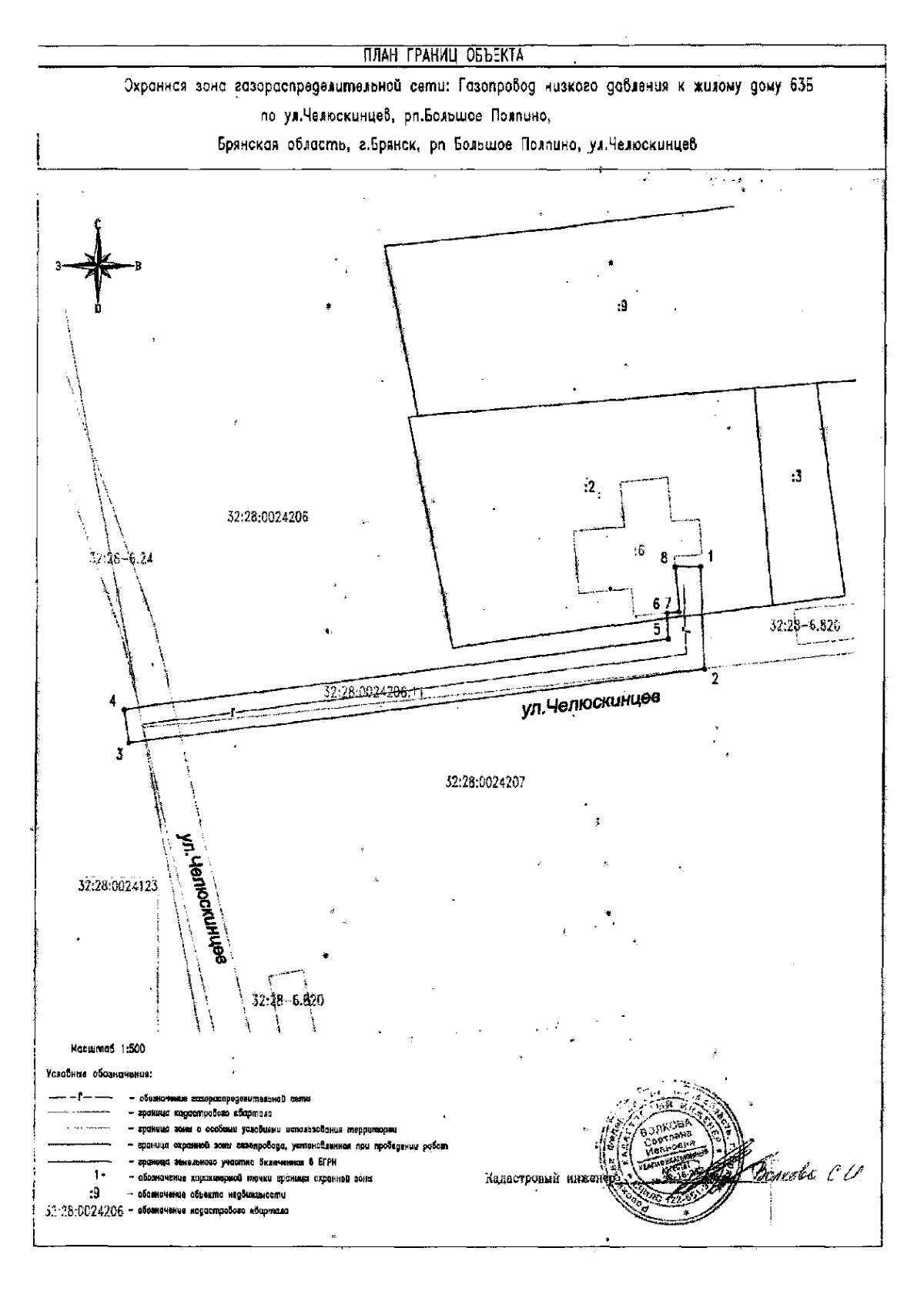
Приказ Департамента топливно-энергетического комплекса и жилищно-коммунального хозяйства Брянской области от 12.02.2026 № 6
"Об утверждении границ охранных зон газораспределительных сетей и наложении ограничений (обременений) на входящие в них земельные участки"
(Зарегистрирован 13.02.2026 № 20260002010)
Номер опубликования: 3201202602200003
Дата опубликования: 20.02.2026
Страница №8 из 13:
Увеличить