Официальное опубликование правовых актов
ОФИЦИАЛЬНОЕ ОПУБЛИКОВАНИЕ
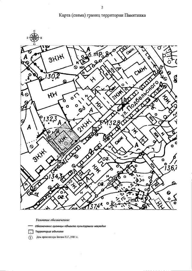
Постановление Инспекции по охране объектов культурного наследия Владимирской области от 22.11.2017 № 146
"Об утверждении границ и режима использования территории объекта культурного наследия регионального значения "Дом архитектора Бегена П.Г.", 1901 г. (г. Владимир, ул. Подбельского, д. 17)"
Номер опубликования: 3301201711290025
Дата опубликования: 29.11.2017
Страница №3 из 7:
Увеличить