Официальное опубликование правовых актов
ОФИЦИАЛЬНОЕ ОПУБЛИКОВАНИЕ
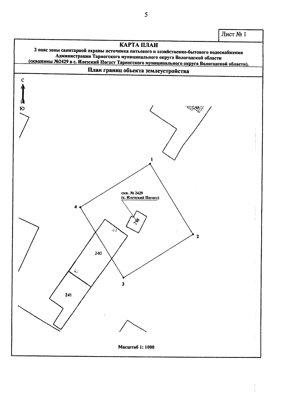
Приказ Министерства лесного комплекса Вологодской области от 17.12.2025 № 1527
"Об установлении зон санитарной охраны источников питьевого и хозяйственно-бытового водоснабжения"
(Зарегистрирован 17.12.2025 № 1527)
Номер опубликования: 3501202512170004
Дата опубликования: 17.12.2025
Страница №5 из 9:
Увеличить