Официальное опубликование правовых актов
ОФИЦИАЛЬНОЕ ОПУБЛИКОВАНИЕ
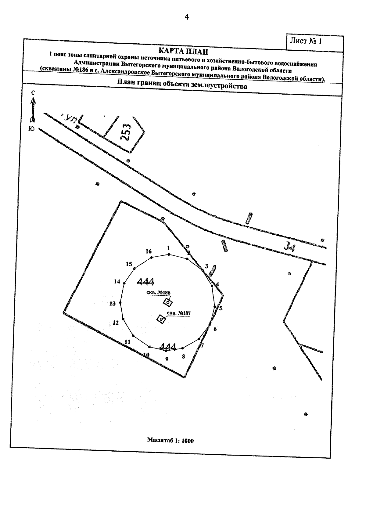
Приказ Министерства лесного комплекса Вологодской области от 17.12.2025 № 1541
"Об установлении зон санитарной охраны источников питьевого и хозяйственно-бытового водоснабжения"
(Зарегистрирован 17.12.2025 № 1541 )
Номер опубликования: 3501202512170020
Дата опубликования: 17.12.2025
Страница №4 из 9:
Увеличить