Официальное опубликование правовых актов
ОФИЦИАЛЬНОЕ ОПУБЛИКОВАНИЕ
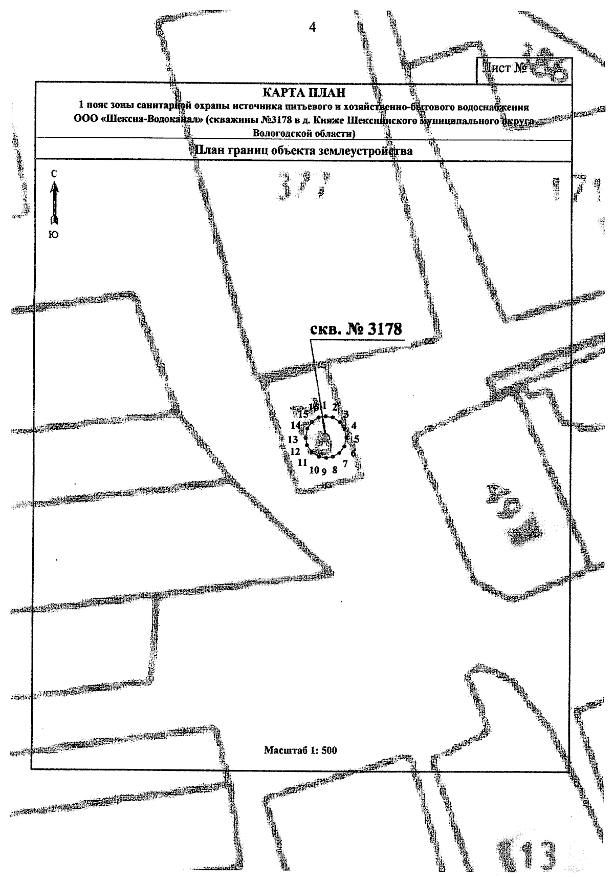
Приказ Министерства лесного комплекса Вологодской области от 17.12.2025 № 1542
"Об установлении зоны санитарной охраны источника питьевого и хозяйственно-бытового водоснабжения"
(Зарегистрирован 17.12.2025 № 1542)
Номер опубликования: 3501202512170021
Дата опубликования: 17.12.2025
Страница №4 из 6:
Увеличить