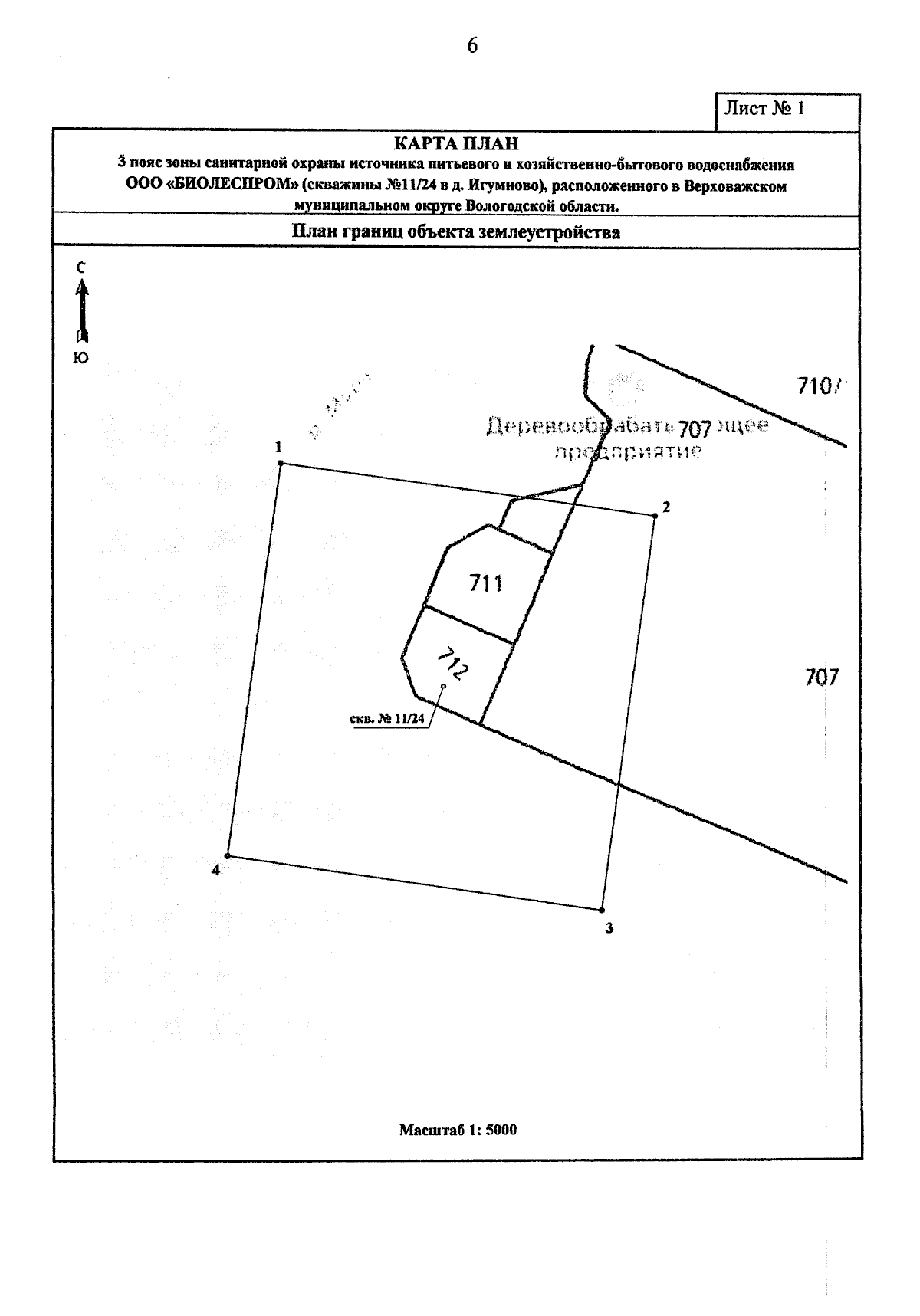
Приказ Министерства лесного комплекса Вологодской области от 21.01.2026 № 48
"Об установлении зоны санитарной охраны источника питьевого и хозяйственно-бытового водоснабжения"
(Зарегистрирован 21.01.2026 № 48)
"Об установлении зоны санитарной охраны источника питьевого и хозяйственно-бытового водоснабжения"
(Зарегистрирован 21.01.2026 № 48)
Номер опубликования: 3501202601210008
Дата опубликования:
21.01.2026
