Официальное опубликование правовых актов
ОФИЦИАЛЬНОЕ ОПУБЛИКОВАНИЕ
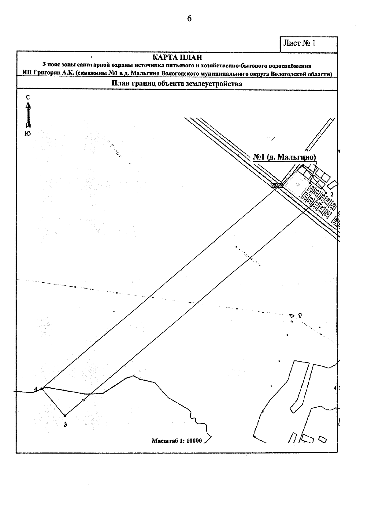
Приказ Министерства лесного комплекса Вологодской области от 05.02.2026 № 120
"Об установлении зоны санитарной охраны источника питьевого и хозяйственно-бытового водоснабжения"
(Зарегистрирован 05.02.2026 № 120)
Номер опубликования: 3501202602060005
Дата опубликования: 06.02.2026
Страница №6 из 6:
Увеличить