Официальное опубликование правовых актов
ОФИЦИАЛЬНОЕ ОПУБЛИКОВАНИЕ
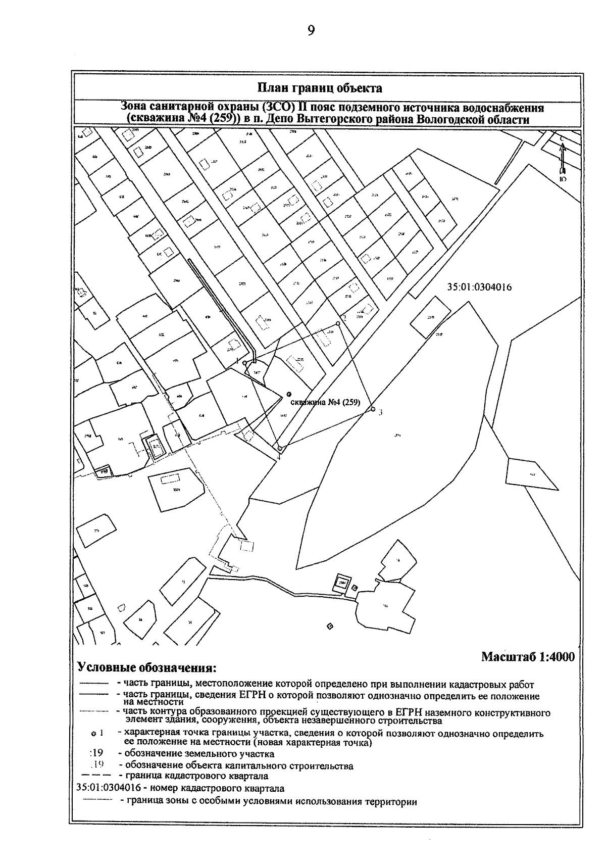
Приказ Министерства лесного комплекса Вологодской области от 08.04.2026 № 385
"Об установлении зон санитарной охраны источников питьевого и хозяйственно-бытового водоснабжения"
(Зарегистрирован 08.04.2026 № 385)
Номер опубликования: 3501202604080004
Дата опубликования: 08.04.2026
Страница №9 из 40:
Увеличить