Постановление правительства Воронежской области от 02.08.2017 № 609
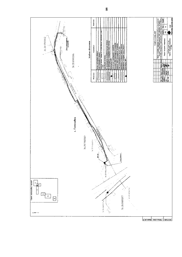
"Об утверждении проекта планировки территории для размещения объекта регионального значения: "Газораспределительные сети д. Ивановка, ул. Гудовка с. Голосновка Семилукского муниципального района Воронежской области"
"Об утверждении проекта планировки территории для размещения объекта регионального значения: "Газораспределительные сети д. Ивановка, ул. Гудовка с. Голосновка Семилукского муниципального района Воронежской области"
Номер опубликования: 3600201708080009
Дата опубликования:
08.08.2017
