Официальное опубликование правовых актов
ОФИЦИАЛЬНОЕ ОПУБЛИКОВАНИЕ
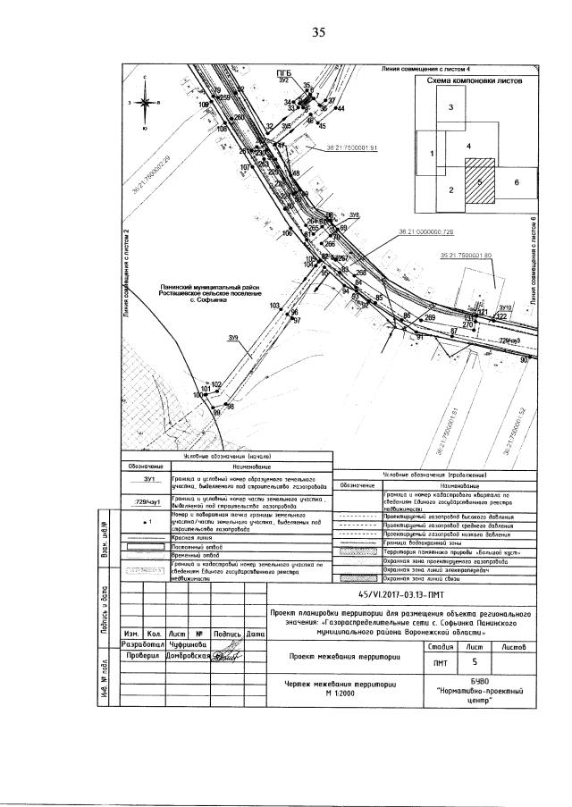
Постановление правительства Воронежской области от 23.01.2018 № 42
"Об утверждении проекта планировки территории для размещения объекта регионального значения: "Газораспределительные сети с. Софьинка Панинского муниципального района Воронежской области"
Номер опубликования: 3600201801250008
Дата опубликования: 25.01.2018
Страница №37 из 38:
Увеличить