Постановление правительства Воронежской области от 14.02.2018 № 152
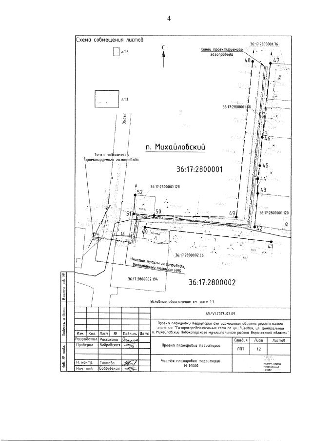
"Об утверждении проекта планировки территории для размещения объекта регионального значения: "Газораспределительные сети по ул. Луговая, ул. Центральная п. Михайловский Новохопёрского муниципального района Воронежской области"
"Об утверждении проекта планировки территории для размещения объекта регионального значения: "Газораспределительные сети по ул. Луговая, ул. Центральная п. Михайловский Новохопёрского муниципального района Воронежской области"
Номер опубликования: 3600201802200008
Дата опубликования:
20.02.2018
