Приказ Управления по охране объектов культурного наследия Калужской области от 07.12.2018 № 388
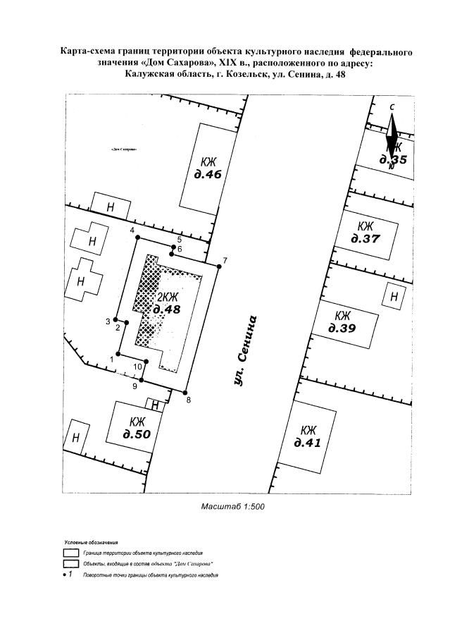
"Об утверждении границ и режима использования территории объекта культурного наследия федерального значения "Дом Сахарова", XIX в., расположенного по адресу: Калужская область, г. Козельск, ул. Сенина, д. 48"
(Зарегистрирован 17.12.2018 № 8192)
"Об утверждении границ и режима использования территории объекта культурного наследия федерального значения "Дом Сахарова", XIX в., расположенного по адресу: Калужская область, г. Козельск, ул. Сенина, д. 48"
(Зарегистрирован 17.12.2018 № 8192)
Номер опубликования: 4001201812200019
Дата опубликования:
20.12.2018
