Официальное опубликование правовых актов
ОФИЦИАЛЬНОЕ ОПУБЛИКОВАНИЕ
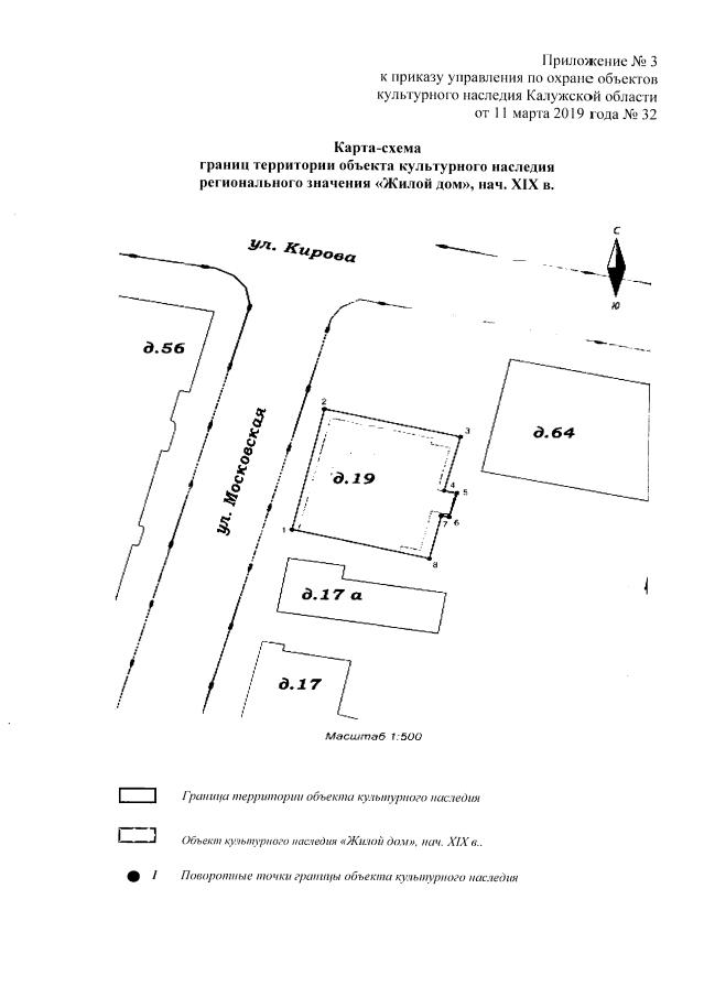
Приказ Управления по охране объектов культурного наследия Калужской области от 11.03.2019 № 32
"О включении в единый государственный реестр объектов культурного наследия (памятников истории и культуры) народов Российской Федерации выявленного объекта культурного наследия "Дом купцов Карасевых (старая аптека)", кон. XVIII в."
(Зарегистрирован 28.03.2019 № 8554)
Номер опубликования: 4001201904030001
Дата опубликования: 03.04.2019
Страница №5 из 7:
Увеличить