Официальное опубликование правовых актов
ОФИЦИАЛЬНОЕ ОПУБЛИКОВАНИЕ
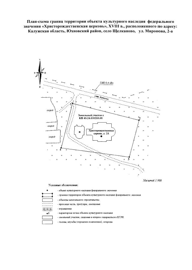
Приказ Управления по охране объектов культурного наследия Калужской области от 28.03.2019 № 58 "Об утверждении границ и режима использования территории объекта культурного наследия федерального значения "Христорождественская церковь", XVIII в., расположенного по адресу: Калужская область, Юхновский район, село Щелканово, ул. Миронова, 2-а"
(Зарегистрирован 03.04.2019 № 8580)
Номер опубликования: 4001201904110001
Дата опубликования: 11.04.2019
Страница №4 из 6:
Увеличить