Официальное опубликование правовых актов
ОФИЦИАЛЬНОЕ ОПУБЛИКОВАНИЕ
Постановление Правительства Кемеровской области - Кузбасса от 28.07.2023 № 498
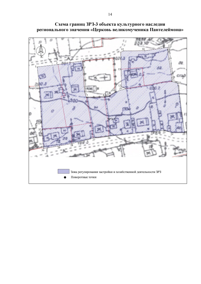
"Об установлении зон охраны объекта культурного наследия регионального значения "Церковь великомученика Пантелеймона", расположенного по адресу: Кемеровская область - Кузбасс, Беловский район, с. Челухоево, ул. Школьная, д. 21а"
Номер опубликования: 4200202308010004
Дата опубликования: 01.08.2023
Страница №14 из 18:
Увеличить