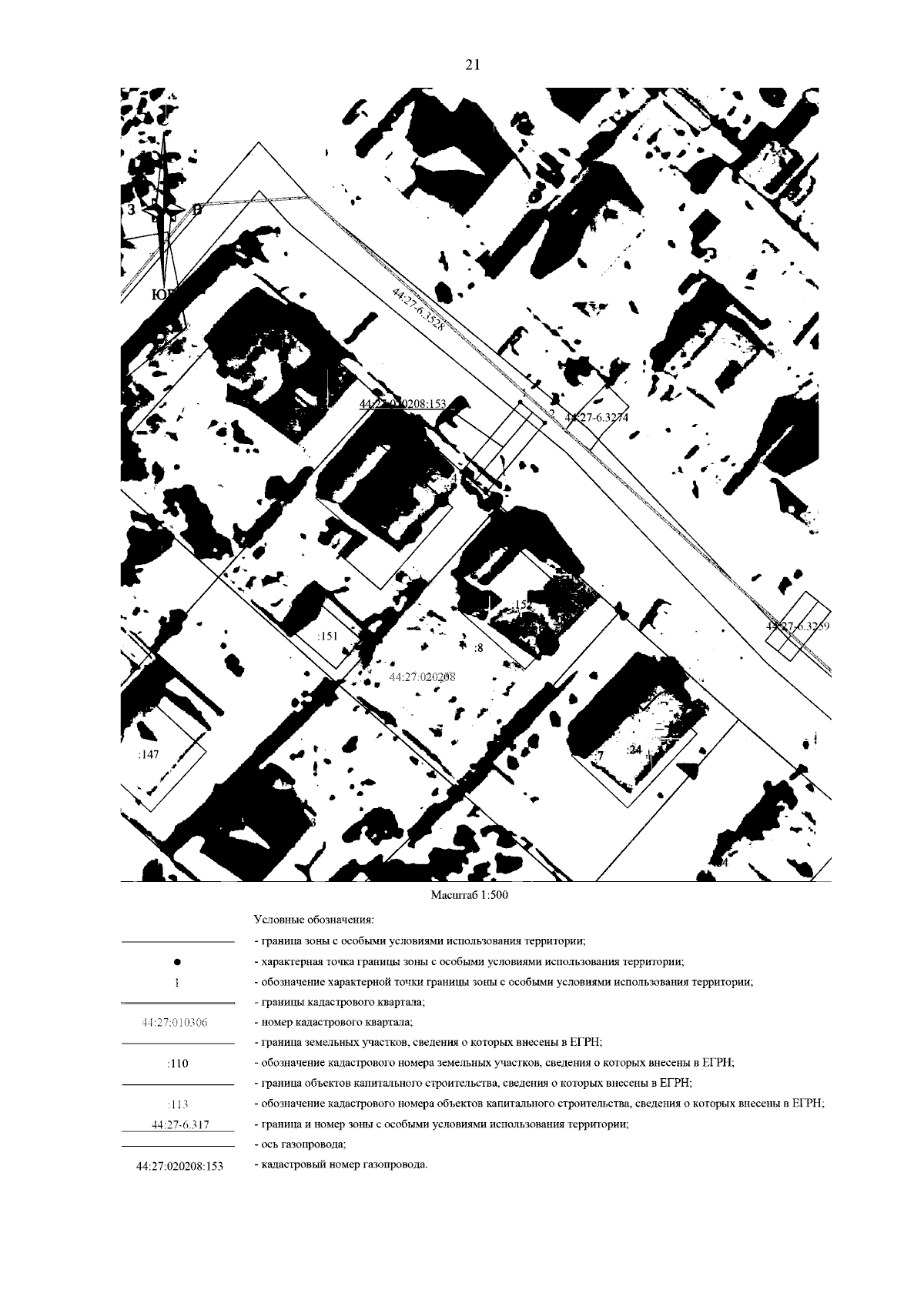
Приказ Департамента имущественных и земельных отношений Костромской области от 01.02.2024 № 19-од
"Об установлении охранных зон газопроводов газораспределительных сетей"
(Зарегистрирован 05.02.2024 № 57)
"Об установлении охранных зон газопроводов газораспределительных сетей"
(Зарегистрирован 05.02.2024 № 57)
Номер опубликования: 4401202402060004
Дата опубликования:
06.02.2024
