Официальное опубликование правовых актов
ОФИЦИАЛЬНОЕ ОПУБЛИКОВАНИЕ
Постановление Правительства Московской области от 30.09.2021 № 958/33
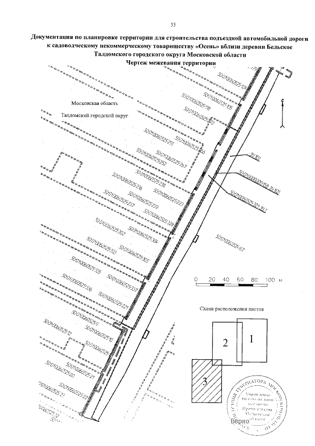
"Об утверждении документации по планировке территории для строительства подъездной автомобильной дороги к садоводческому некоммерческому товариществу "Осень" вблизи деревни Бельское Талдомского городского округа Московской области"
Номер опубликования: 5000202110010001
Дата опубликования: 01.10.2021
Страница №35 из 35:
Увеличить