Постановление Правительства Московской области от 30.09.2021 № 957/33
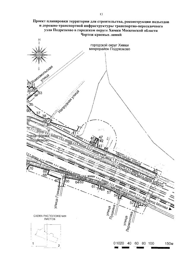
"Об утверждении проекта планировки территории для строительства, реконструкции подъездов и дорожно-транспортной инфраструктуры транспортно-пересадочного узла Подрезково в городском округе Химки Московской области"
"Об утверждении проекта планировки территории для строительства, реконструкции подъездов и дорожно-транспортной инфраструктуры транспортно-пересадочного узла Подрезково в городском округе Химки Московской области"
Номер опубликования: 5000202110010005
Дата опубликования:
01.10.2021
