Официальное опубликование правовых актов
ОФИЦИАЛЬНОЕ ОПУБЛИКОВАНИЕ
Постановление Правительства Московской области от 26.10.2021 № 1072/36
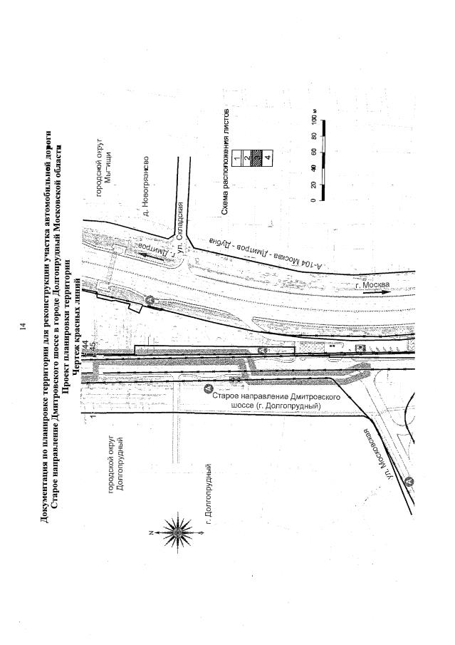
"Об утверждении документации по планировке территории для реконструкции участка автомобильной дороги Старое направление Дмитровского шоссе в городе Долгопрудный Московской области"
Номер опубликования: 5000202110270004
Дата опубликования: 27.10.2021
Страница №16 из 23:
Увеличить