Официальное опубликование правовых актов
ОФИЦИАЛЬНОЕ ОПУБЛИКОВАНИЕ
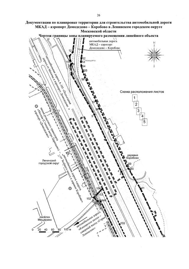
Постановление Правительства Московской области от 04.08.2022 № 806/26
"Об утверждении документации по планировке территории для строительства автомобильной дороги МКАД – аэропорт Домодедово – Коробово в Ленинском городском округе Московской области"
Номер опубликования: 5000202208080004
Дата опубликования: 08.08.2022
Страница №28 из 70:
Увеличить