Официальное опубликование правовых актов
ОФИЦИАЛЬНОЕ ОПУБЛИКОВАНИЕ
Постановление Правительства Московской области от 12.10.2022 № 1125/34
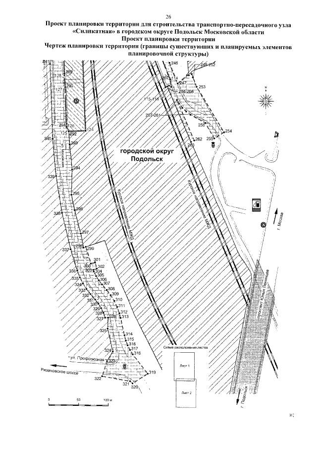
"О внесении изменений в проект планировки территории для строительства транспортно-пересадочного узла "Силикатная" в городском округе Подольск Московской области"
Номер опубликования: 5000202210130005
Дата опубликования: 13.10.2022
Страница №28 из 44:
Увеличить