Официальное опубликование правовых актов
ОФИЦИАЛЬНОЕ ОПУБЛИКОВАНИЕ
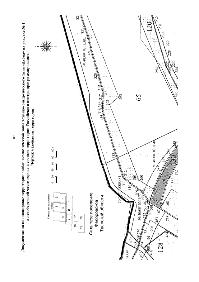
Постановление Правительства Московской области от 24.11.2022 № 1276/40
"О внесении изменений в документацию по планировке территории для размещения особой экономической зоны технико-внедренческого типа "Дубна" на участке № 1 в левобережной части города в составе территории Российского центра программирования"
Номер опубликования: 5000202211250008
Дата опубликования: 25.11.2022
Страница №91 из 102:
Увеличить