Официальное опубликование правовых актов
ОФИЦИАЛЬНОЕ ОПУБЛИКОВАНИЕ
Постановление Правительства Московской области от 21.12.2022 № 1432/46
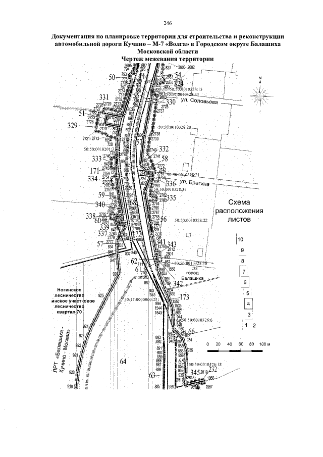
"О внесении изменений в документацию по планировке территории для строительства и реконструкции автомобильной дороги Кучино – М-7 "Волга" в Городском округе Балашиха Московской области"
Номер опубликования: 5000202212230003
Дата опубликования: 23.12.2022
Страница №248 из 256:
Увеличить