Распоряжение Министерства культуры Мурманской области от 10.07.2020 № 31
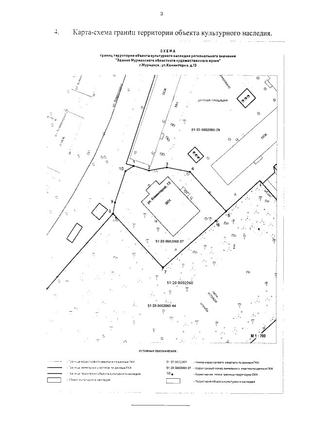
"Об утверждении границ территории и режима использования территории объекта культурного наследия регионального значения «Здание Мурманского областного художественного музея», 1927 г., местонахождение (адрес): Мурманская область, город Мурманск, улица Коминтерна, дом 13"
"Об утверждении границ территории и режима использования территории объекта культурного наследия регионального значения «Здание Мурманского областного художественного музея», 1927 г., местонахождение (адрес): Мурманская область, город Мурманск, улица Коминтерна, дом 13"
Номер опубликования: 5101202007130001
Дата опубликования:
13.07.2020
