Официальное опубликование правовых актов
ОФИЦИАЛЬНОЕ ОПУБЛИКОВАНИЕ
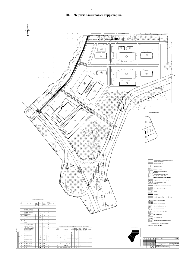
Приказ Министерства градостроительной деятельности и развития агломераций Нижегородской области от 02.11.2021 № 07-02-03/90 "Об утверждении документации по внесению изменений в проект планировки территории по улице Береговая в Автозаводском районе города Нижнего Новгорода"
(Зарегистрирован 29.11.2021 № 18406-330-007-02-03/90)
Номер опубликования: 5201202112010004
Дата опубликования: 01.12.2021
Страница №7 из 7:
Увеличить