Официальное опубликование правовых актов
ОФИЦИАЛЬНОЕ ОПУБЛИКОВАНИЕ
Приказ Министерства градостроительной деятельности и развития агломераций Нижегородской области от 08.07.2022 № 06-01-03/29
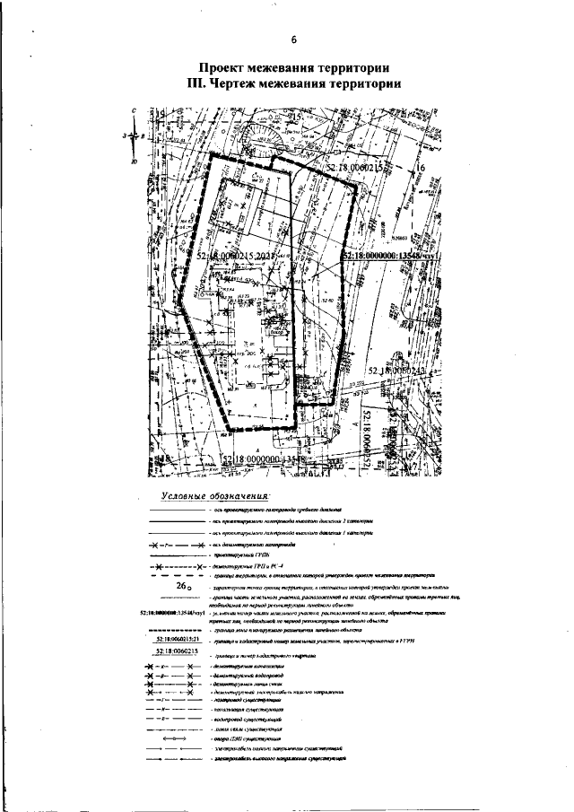
"Об утверждении проекта планировки и проекта межевания территории в целях реконструкции сооружения "Сооружение (газопровод, состоящий из 51 ГРП), назначение: Сеть газоснабжения, Протяженность 452583,00 п.м., инвентарный номер 90733, адрес (местоположение) объекта: Нижегородская область, г. Нижний Новгород, Советский район, Приокский, Нижегородский районы" ("Реконструкция РС-4 по адресу: г. Нижний Новгород, Казанское шоссе, д.7, РС- 4". Код стройки 23878-20-8)"
(Зарегистрирован 03.08.2022 № 20761-330-006-01-03/29)
Номер опубликования: 5201202208040002
Дата опубликования: 04.08.2022
Страница №8 из 11:
Увеличить