Официальное опубликование правовых актов
ОФИЦИАЛЬНОЕ ОПУБЛИКОВАНИЕ
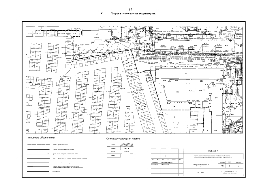
Приказ Министерства градостроительной деятельности и развития агломераций Нижегородской области от 07.11.2022 № 07-02-03/112
"Об утверждении проекта межевания территории в границах улиц Буденного, Петрищева, Самохвалова в городском округе город Дзержинск Нижегородской области"
(Зарегистрирован 15.11.2022 № 21348-330-007-02-03/112)
Номер опубликования: 5201202211170003
Дата опубликования: 17.11.2022
Страница №89 из 94:
Увеличить