Официальное опубликование правовых актов
ОФИЦИАЛЬНОЕ ОПУБЛИКОВАНИЕ
Приказ Министерства градостроительной деятельности и развития агломераций Нижегородской области от 07.02.2024 № 07-01-03/17
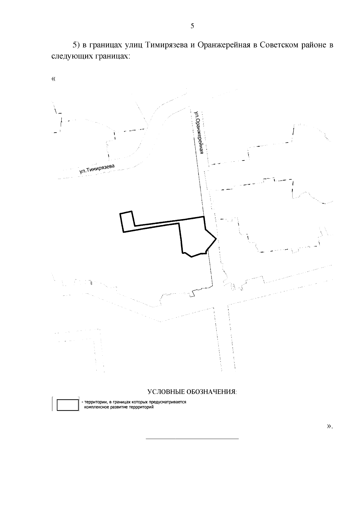
"Об утверждении изменений в Правила землепользования и застройки города Нижнего Новгорода, утвержденные приказом департамента градостроительной деятельности и развития агломераций Нижегородской области от 30 марта 2018 г. № 07-01-06/22"
(Зарегистрирован 15.03.2024 № 25247-330-007-01-03/17)
Номер опубликования: 5201202403200003
Дата опубликования: 20.03.2024
Страница №8 из 8:
Увеличить