Приказ Министерства градостроительной деятельности и развития агломераций Нижегородской области от 22.01.2025 № 07-02-03/4
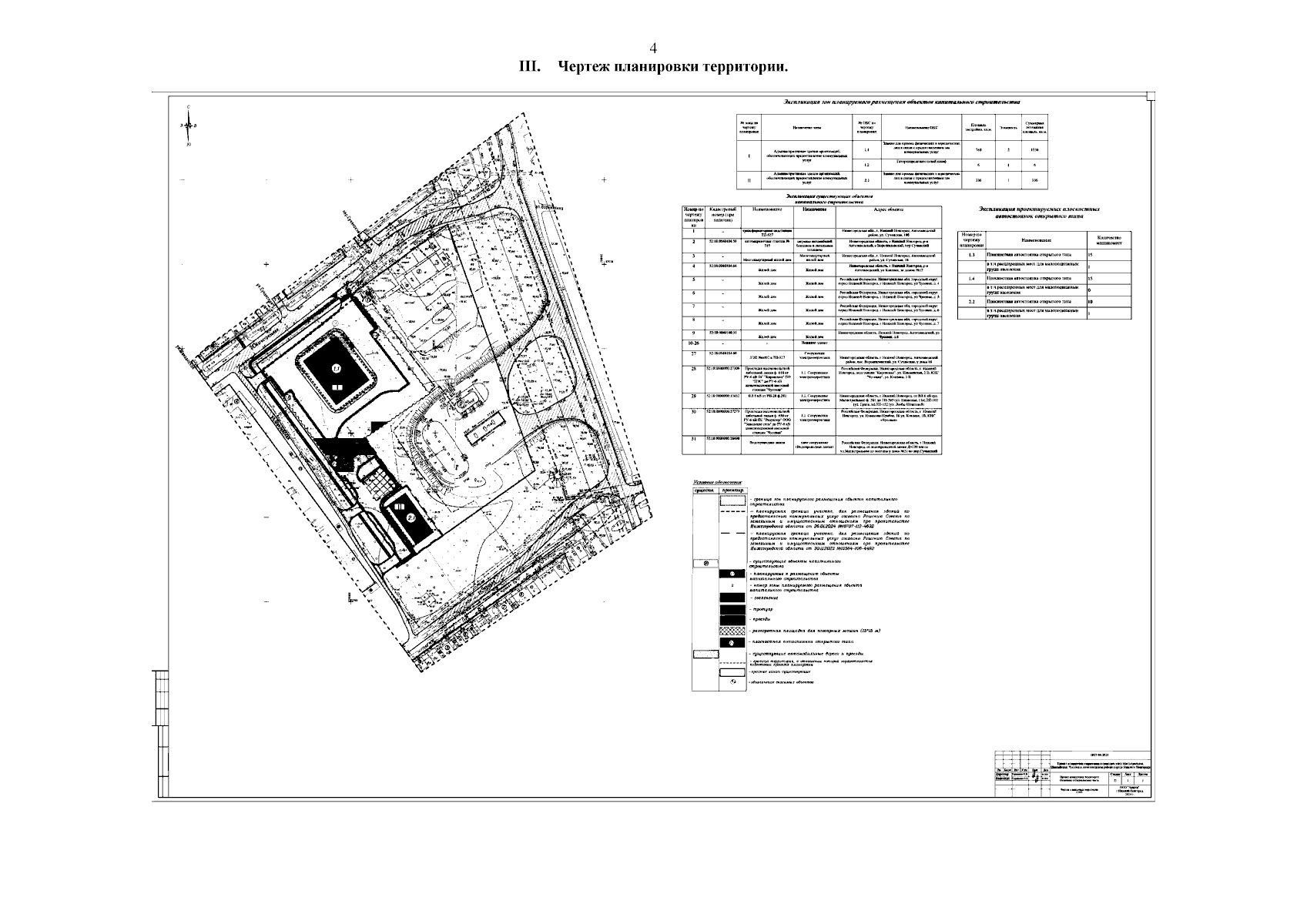
"Об утверждении проекта планировки территории в границах улиц Магистральная, Шанхайская, Чусовая в Автозаводском районе города Нижнего Новгорода"
(Зарегистрирован 17.02.2025 № 27625-330-007-02-03/4)
"Об утверждении проекта планировки территории в границах улиц Магистральная, Шанхайская, Чусовая в Автозаводском районе города Нижнего Новгорода"
(Зарегистрирован 17.02.2025 № 27625-330-007-02-03/4)
Номер опубликования: 5201202502190010
Дата опубликования:
19.02.2025
