Официальное опубликование правовых актов
ОФИЦИАЛЬНОЕ ОПУБЛИКОВАНИЕ
Приказ Министерства градостроительной деятельности и развития агломераций Нижегородской области от 15.04.2025 № 07-02-03/43
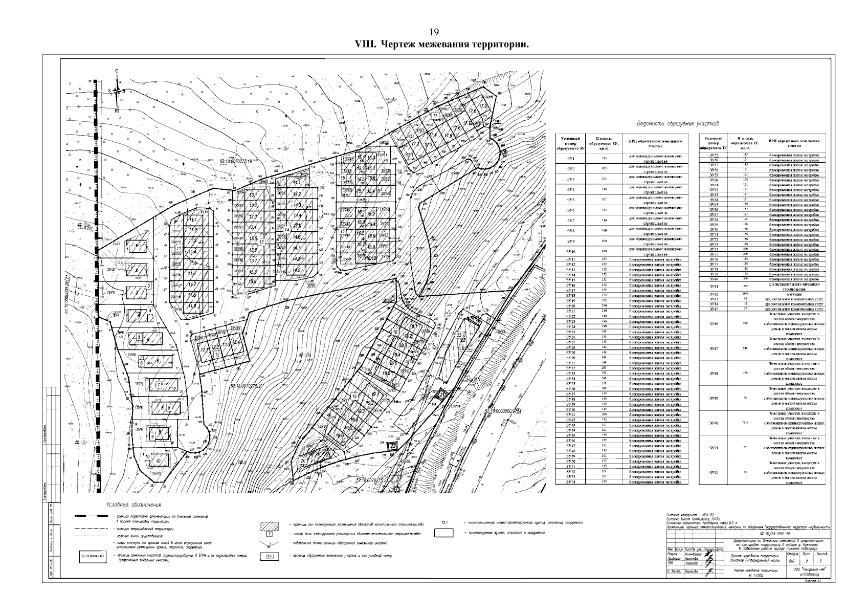
"Об утверждении документации по внесению изменений в документацию по планировке территории в районе деревни Кузнечиха в Советском районе г. Нижнего Новгорода"
(Зарегистрирован 21.05.2025 № 28133-330-007-02-03/43)
Номер опубликования: 5201202505230006
Дата опубликования: 23.05.2025
Страница №21 из 21:
Увеличить