Официальное опубликование правовых актов
ОФИЦИАЛЬНОЕ ОПУБЛИКОВАНИЕ
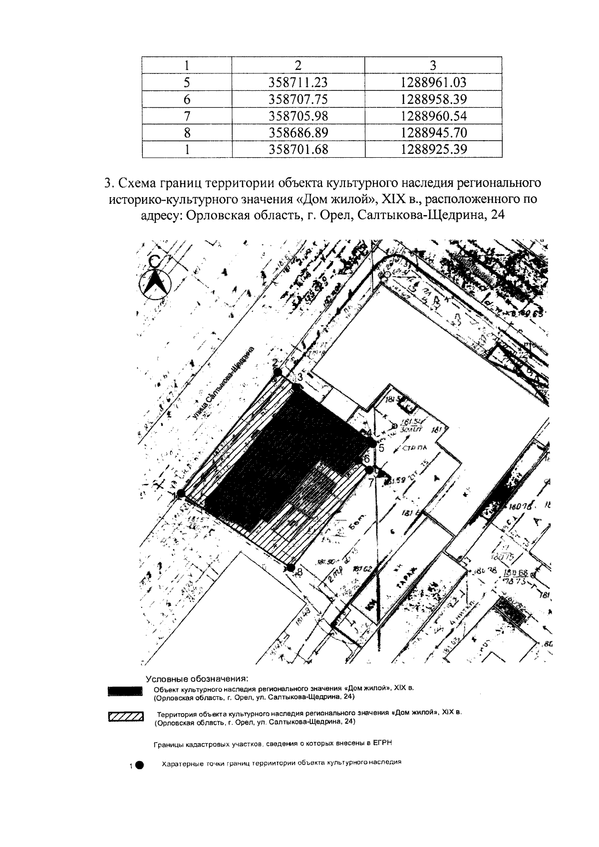
Приказ Управления по государственной охране объектов культурного наследия Орловской области от 24.06.2025 № 73
"Об утверждении границ территории и правового режима использования территории объекта культурного наследия регионального историко-культурного значения "Дом жилой", XIX в., расположенного по адресу: Орловская область, г. Орел, Салтыкова-Щедрина, 24"
(Зарегистрирован 25.06.2025 № 295/2025)
Номер опубликования: 5701202506270006
Дата опубликования: 27.06.2025
Страница №5 из 6:
Увеличить