Официальное опубликование правовых актов
ОФИЦИАЛЬНОЕ ОПУБЛИКОВАНИЕ
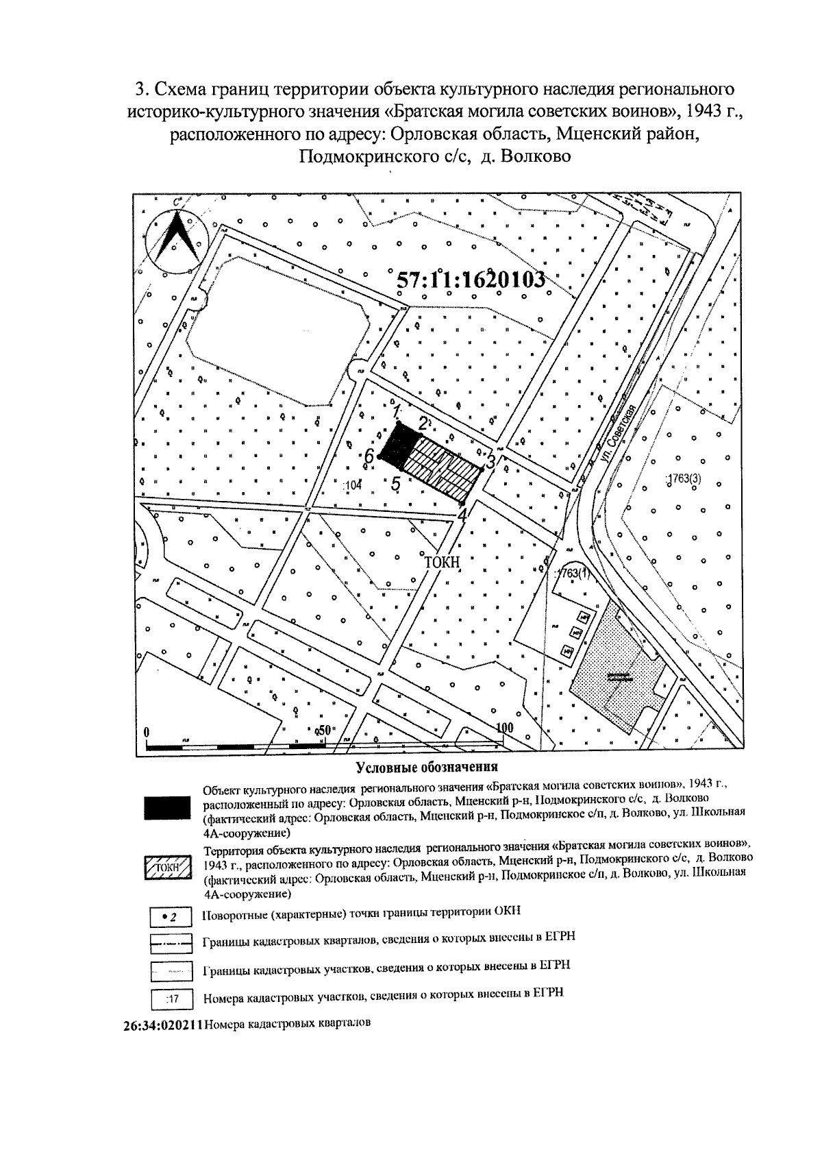
Приказ Управления по государственной охране объектов культурного наследия Орловской области от 02.09.2025 № 150
"Об утверждении границ территории и правового режима использования территории объекта культурного наследия регионального историко-культурного значения "Братская могила советских воинов", 1943 г., расположенного по адресу: Орловская область, Мценский район, Подмокринского с/с, д. Волково"
(Зарегистрирован 04.09.2025 № 439/2025)
Номер опубликования: 5701202509080006
Дата опубликования: 08.09.2025
Страница №6 из 6:
Увеличить