Официальное опубликование правовых актов
ОФИЦИАЛЬНОЕ ОПУБЛИКОВАНИЕ
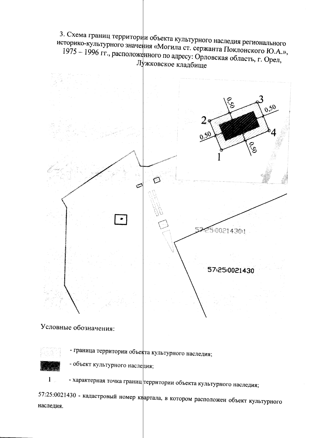
Приказ Управления по государственной охране объектов культурного наследия Орловской области от 10.03.2026 № 48
"Об утверждении границ территории и правового режима использования территории объекта культурного наследия регионального историко-культурного значения "Могила ст. сержанта Поклонского Ю.А.", 1975 – 1996 гг., расположенного по адресу: Орловская область, г. Орел, Лужковское кладбище"
(Зарегистрирован 12.03.2026 № 165/2026)
Номер опубликования: 5701202603160021
Дата опубликования: 16.03.2026
Страница №5 из 6:
Увеличить