Официальное опубликование правовых актов
ОФИЦИАЛЬНОЕ ОПУБЛИКОВАНИЕ
Постановление Правительства Пензенской области от 18.05.2015 № 259-пП
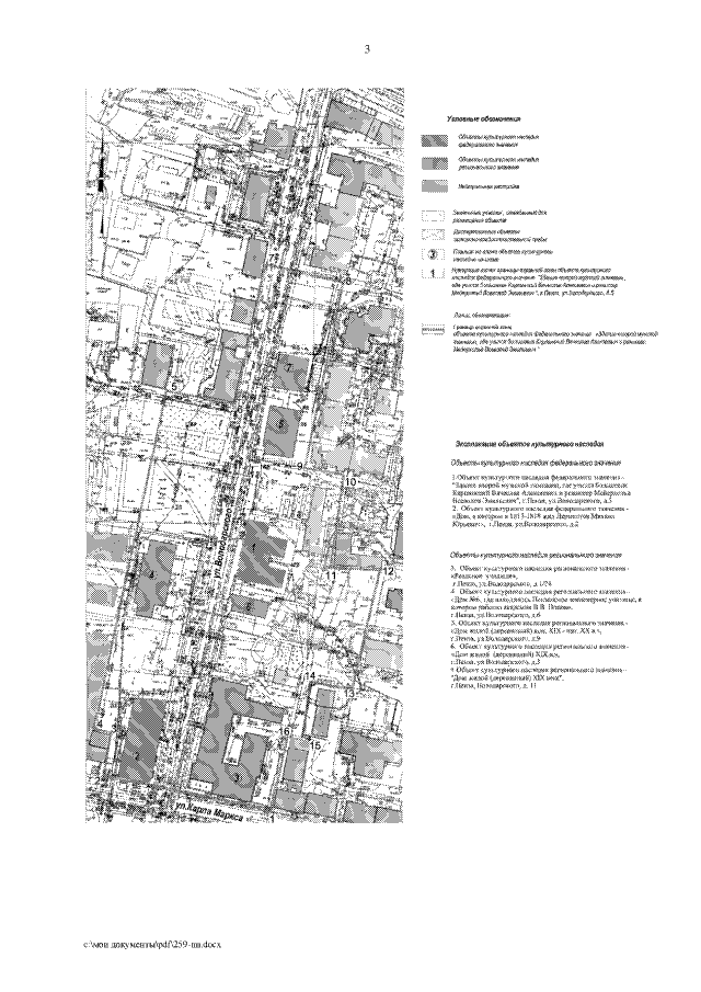
"Об утверждении границ зон охраны, режимов использования земель и градостроительных регламентов в границах данных зон объекта культурного наследия федерального значения "Здание 2-й мужской гимназии, где учились большевик Карпинский Вячеслав Алексеевич и режиссер Мейерхольд Всеволод Эмильевич", Пензенская область, г. Пенза, ул. Володарского, 5"
Номер опубликования: 5800201505250002
Дата опубликования: 25.05.2015
Страница №5 из 8:
Увеличить