Официальное опубликование правовых актов
ОФИЦИАЛЬНОЕ ОПУБЛИКОВАНИЕ
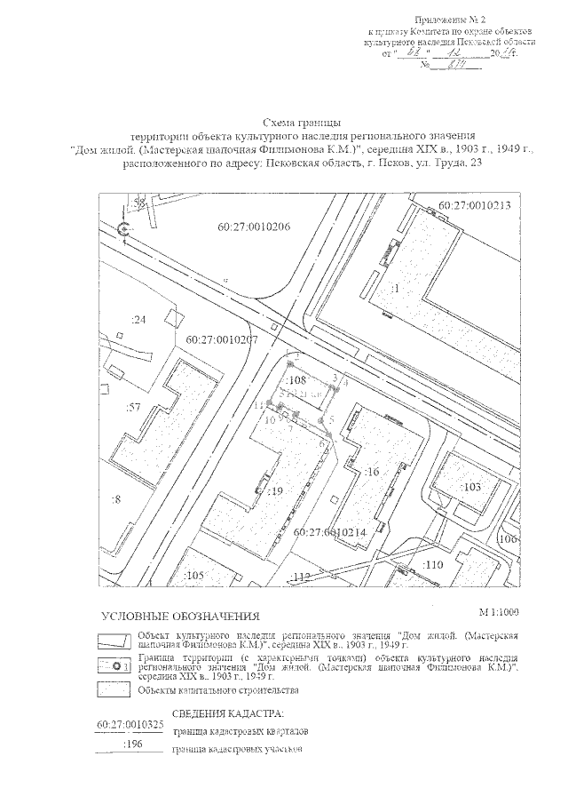
Приказ Комитета по охране объектов культурного наследия Псковской области от 08.12.2020 № 874
"Об утверждении границы территории объекта культурного наследия регионального значения "Дом жилой. (Мастерская шапочная Филимонова К.М.)", середина XIX в.; 1903 г.; 1949 г., расположенного по адресу: Псковская область, г. Псков, ул. Труда, 23"
Номер опубликования: 6001202012140006
Дата опубликования: 14.12.2020
Страница №5 из 7:
Увеличить